More Blight, Trash and Traffic Discussions
The Walkersville Planning Commission will meet for its monthly public hearing on Tuesday night. Items on the agenda include a second request by Calvary Assembly of God to place a modular building on its property and a continuation of blight, vacancies, and trash in the Town of Walkersville.
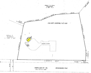
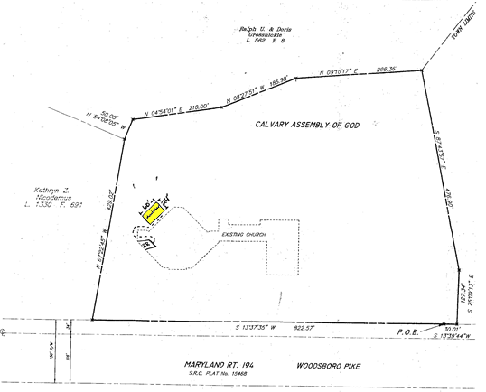
Last summer, Calvary Assembly of God requested approval to place a 1,410 square foot modular building on their property. At the time, Town of Walkersville officials raised issues with the safety of the church entrance. The Town noted an easement on it required on the Grossnickle property for the church to use Stauffer Road for access. Planning Commission members pushed for the entrance to be moved and even proposed changing the existing entrance to “right turn in and right turn out only” during discussions. Despite serious questions and concerns about the safety of their entrance and the church’s failure to honor an agreement to move access to Stauffer Road, the Planning Commission granted the request under the condition that the church meet with the town to discuss an alternate entrance. The building was never erected.
 Calvary Assembly of God now requests permission for a modular building to be erected in a different location on the property. The same issues appear to be on the horizon for the church. Burgess Ralph Whitmore and Zoning Administrator Susan Hauver met with the church over the past few months. The church claims that moving its entrance will create a financial hardship.
Calvary Assembly of God now requests permission for a modular building to be erected in a different location on the property. The same issues appear to be on the horizon for the church. Burgess Ralph Whitmore and Zoning Administrator Susan Hauver met with the church over the past few months. The church claims that moving its entrance will create a financial hardship.
The Planning Commission will continue its discussions of proposed ordinances to address vacant and blighted buildings, and accumulation of trash on properties. During its workshop earlier this month, the Planning Commission met with Town Counsel, Walkersville Code Enforcement Officer, Andy Dewese, and Dawn Hipsley of the Economic Development Commission.
Legal Counsel for the Town of Walkersville warned that the ordinances presented would require a full review. Many terms needed to be defined and some could just be added to the existing Town Code.
Andy Dewese, Code Enforcement Officer, explained that, except for snow removal, his job is limited to investigating complaints. He noted that he only spends a few hours per week checking messages and following up on complaints. When there are issues, he can only send notices of violations, because there are no penalties written into the code for violations.
 Members of the public gave testimony of serious violations and health concerns. They were not aware that Walkersville had a Code Enforcement Officer despite calling and visiting Town Hall with complaints.
Members of the public gave testimony of serious violations and health concerns. They were not aware that Walkersville had a Code Enforcement Officer despite calling and visiting Town Hall with complaints.
Discussions mostly delath with Marsala’s Restaurant and the properties owned by Tomarchio Enterprises. Planning Commission members asked questions about the number of complaints received by Code Enforcement against the Walkers Village Shopping Center. There were not many. Mr. Dewese noted that when there are complaints and violations, Tomarchio Enterprises is very slow to respond, and multiple letters are sent.
Mr. Dewese invited everyone to contact him with complaints. He also handed out a brochure. Any violations can be reported to Walkersville’s Code Enforcement by sending an e-mail message to codeenforcer@comcast.net. The messages go directly to Mr. Dewese’s phone.
Through its review of the proposed ordinances, they decided to forge ahead with a thorough review of ordinances, definition of terms, and legal precedence to craft ordinances addressing both commercial and residential properties. Town Commissioner Russ Winch planned to contact the Maryland Municipal League for help. He will bring what he found to Tuesday evening’s meeting.
The Planning Commission meets at 7:30 p.m. in Walkersville’s Town Hall. The public is welcome to attend and to comment on issues before the commission.




 
                                 
                                 
                                
You must be logged in to post a comment.